COMUNICADOS DE PRENSA
Regístrate
Ingresa
Noticias
Artículos Médicos
Educación Continua
Micrositios
Podcast
Eventos
Revistas
Revistas
Artritis
Pediatría
Ginecología
Cardiología
Covid-19
Ver todas
×
Fisioterapia
ACR 2023
Administración y Gerencia Médica
Alergología e inmunología
Anestesiología
Cardiología
Cardiovascular
Casos-Clinicos
Cirugia
Comunicados de Prensa
Covid-19
Dermatología
Diabetes
Endocrinología
Endocrinología-Diabetes
Enfermería
EULAR
Expertos en Salud
Farmacología
Fisiatría
Gastroenterología
General
Genética
Geriatría
Ginecología-Obstetricia
Hematología
HIV
Hospitales
Humanidades Médicas
Infectología
|
Regístrate
Ingresa
Noticias
Artículos Médicos
Educación Continua
Micrositios
Podcast
Eventos
Revistas
Revistas
Artritis
Pediatría
Ginecología
Cardiología
Covid-19
Ver todas
×
Fisioterapia
ACR 2023
Administración y Gerencia Médica
Alergología e inmunología
Anestesiología
Cardiología
Cardiovascular
Casos-Clinicos
Cirugia
Comunicados de Prensa
Covid-19
Dermatología
Diabetes
Endocrinología
Endocrinología-Diabetes
Enfermería
EULAR
Expertos en Salud
Farmacología
Fisiatría
Gastroenterología
General
Genética
Geriatría
Ginecología-Obstetricia
Hematología
HIV
Hospitales
Humanidades Médicas
Infectología
Hoy en Medicina y Salud Pública
El primer año del Dr. Víctor Ramos
Diciembre 28, 2025
¿Metformina o insulina en diabetes gestacional? Estudio busca definir si la metformina es segura y eficaz
Diciembre 27, 2025
¿Cómo ocurre el embarazo críptico o silencioso y cuáles son sus síntomas?
Diciembre 27, 2025
Incremento de influenza H3N2 enciende alarmas en Colombia y el hemisferio norte
Diciembre 27, 2025
Síndrome VEXAS: expertos de la ACR establecen por primera vez criterios para su diagnóstico y manejo
Diciembre 27, 2025
"En la población boricua tenemos pacientes con cáncer de próstata más jóvenes y con cáncer más agresivo"
Diciembre 27, 2025
Hasta 4 de cada 10 sobrevivientes de accidentes con pólvora desarrollan síntomas de estrés postraumático
Diciembre 27, 2025
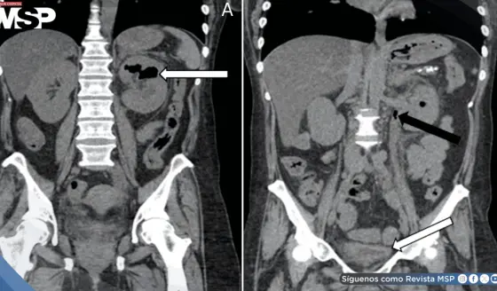
Amiloidosis cardíaca asociada a mieloma múltiple provoca arritmia ventricular fatal en mujer de 71 años
Diciembre 27, 2025
No todas las verrugas genitales son por VPH: verruga de agua y otros tipos que puede identificar
Diciembre 27, 2025
Lo Más Visto
Ver más
1
No todas las verrugas genitales son por VPH: verruga de agua y otros tipos que puede identificar
Diciembre 27, 2025
2
¿Cómo ocurre el embarazo críptico o silencioso y cuáles son sus síntomas?
Diciembre 27, 2025
3
La OMS declara al alcohol como carcinógeno y exige etiquetado de advertencia: No hay "consumo seguro"
Diciembre 27, 2025
4
Cefalea por abuso de analgésicos: qué es, por qué ocurre y cómo detectar las señales a tiempo
Diciembre 25, 2025
5
"Aquí vamos a celebrar la vida": Historia del Dr. Franceschini, quien enfrentó cuatro tipos de cáncer
Diciembre 25, 2025
Lo Último
Ver más
El primer año del Dr. Víctor Ramos
Diciembre 28, 2025
¿Metformina o insulina en diabetes gestacional? Estudio busca definir si la metformina es segura y eficaz
Diciembre 27, 2025
¿Cómo ocurre el embarazo críptico o silencioso y cuáles son sus síntomas?
Diciembre 27, 2025
Incremento de influenza H3N2 enciende alarmas en Colombia y el hemisferio norte
Diciembre 27, 2025
La OMS declara al alcohol como carcinógeno y exige etiquetado de advertencia: No hay "consumo seguro"
Diciembre 27, 2025
Expertos en Salud
Más allá de las articulaciones: Lo nuevo...
Junio 29, 2025
Artículos Médicos
Uso de la pirotecnia
Diciembre 11, 2025
Valoración Geriátrica Integral: una herramienta útil en otras especialidades
Noviembre 21, 2025
Abordaje biopsicosocial de la diabetes tipo 2 en atención primaria: atención centrada en la persona
Noviembre 12, 2025
Ver más
Noticias
"En la población boricua tenemos pacientes con cáncer de próstata más jóvenes y con cáncer más agresivo"
Diciembre 27, 2025
Hasta 4 de cada 10 sobrevivientes de accidentes con pólvora desarrollan síntomas de estrés postraumático
Diciembre 27, 2025
Amiloidosis cardíaca asociada a mieloma múltiple provoca arritmia ventricular fatal en mujer de 71 años
Diciembre 27, 2025
Ver más
Infografías
¿Cómo reconocer los síntomas del mieloma múltiple?
Octubre 11, 2025
Así actúa el gen EGFR en el desarrollo del cáncer de pulmón
Octubre 11, 2025
Salud Mental
Octubre 10, 2025
Revista del Mes
La Genética del Cáncer de Seno en La Familia Puertoriqueña
×
Regístrate
Medicina y Salud Pública
Profesión
Médico
Farmacéutico
Enfermero
Estudiante de medicina
Profesional de la salud
Paciente
Otro
Seleccionar la revista para recibir por medio de correo electronico
Revista Medicina y Salud Pública
Revista Salud y Pediatría
Revista Ginecología y Obstetricia
Revista Diabetes
Revista Artritis y Reumatología
Deseo recibir el newsletter de Medicina y Salud Pública
Cargando, por favor espere.
REGISTRARSE
Regresar
×
Iniciar Sesión
Medicina y Salud Pública
Validando, por favor espere.
ENTRAR
Olvidé mi contraseña
¿No tienes cuenta?
Regístrate aquí
Regresar
×
Recuperar Contraseña
Enviando... por favor espere.
ENVIAR
Iniciar sesión
¿No tienes cuenta?
Regístrate aquí
Regresar